Attraktives Grundstück in Lustenau – Platz für Ihr Traumhaus
Kaufpreis: 380.000,00 €
ImmoNr.
5985
Vermarktungsart
Kauf
Objektart
Grundstueck
Objekttyp
Wohnen
PLZ
6890
Ort
Lustenau
Bundesland
Vorarlberg
Kaufpreis
380.000,00 €
Grundstücksfläche
550,00 m²
Attraktives Grundstück in Lustenau – Platz für Ihr Traumhaus
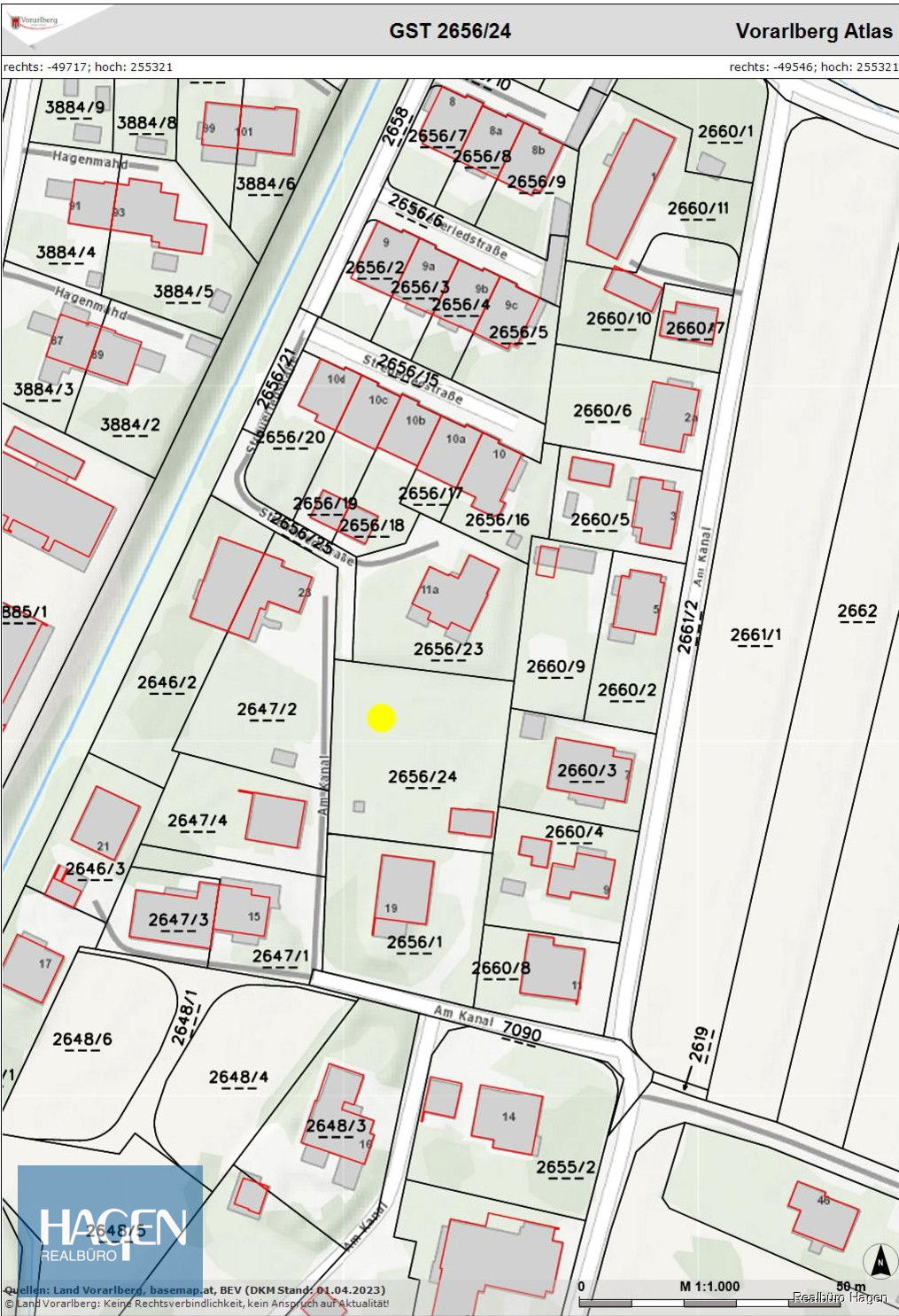
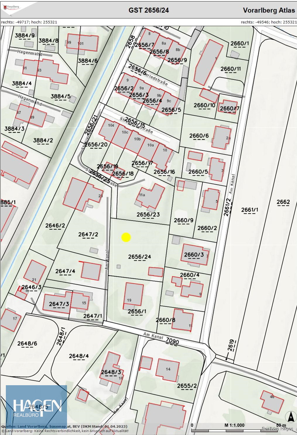
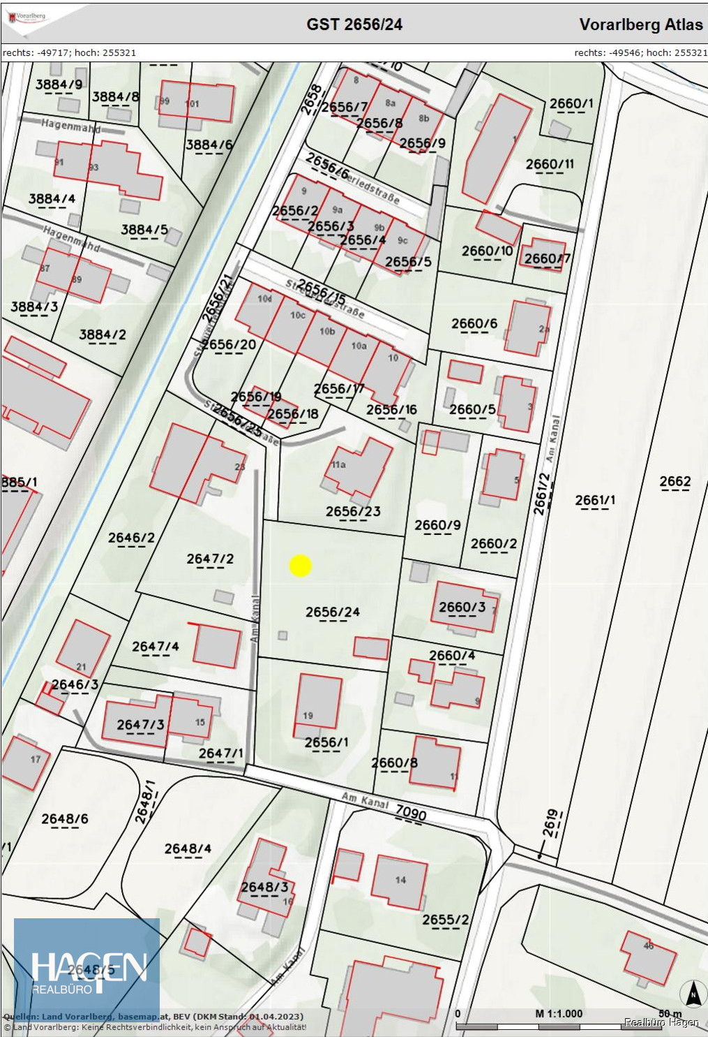
Begehrte Lage: Grundstück in Lustenau zu verkaufen, Naherholungsgebiet (gemäß Teilungsentwurf Gst.-Nr 2653/24 )
Gst.-Nr. 2653/24 (gemäß Teilungsentwurf) 550 m² mit der Dienstbarkeit des Geh- und Fahrrechts für Gst. 2656/25 = Kaufpreis € 380.000,--
Gst.-Nr 2656/25 (gemäß Teilungsentwurf) 550 m² = Kaufpreis € 412.500,--.
Gewidmet ist die Fläche als Baumischgebiet.
Die Aufteilung des Grundstücks erfolgt gemäß dem beigefügten Teilungsentwurf.
Verkauft werden folgende GST:
2656/21 Fläche ca. 102 m²
2656/24 Fläche ca. 1100 m² (Teilungsentwurf)
2656/25 Fläche ca. 215 m²
Gst.-Nr. 2653/24 (gemäß Teilungsentwurf) 550 m² mit der Dienstbarkeit des Geh- und Fahrrechts für Gst. 2656/25 = Kaufpreis € 380.000,--
Gst.-Nr 2656/25 (gemäß Teilungsentwurf) 550 m² = Kaufpreis € 412.500,--.
Gewidmet ist die Fläche als Baumischgebiet.
Die Aufteilung des Grundstücks erfolgt gemäß dem beigefügten Teilungsentwurf.
Verkauft werden folgende GST:
2656/21 Fläche ca. 102 m²
2656/24 Fläche ca. 1100 m² (Teilungsentwurf)
2656/25 Fläche ca. 215 m²
Ort
Weitere Informationen
Haben wir Ihr Interesse geweckt?
Dann vereinbaren Sie doch einfach einen Termin mit uns – eine Besichtigung lohnt sich.
Das Realbüro Hagen-Team garantiert professionelle Beratung und völlige Unabhängigkeit.
Durch unsere ausgeprägte Kompetenz und langjährige Erfahrung versichern wir Ihnen eine problemlose und sorgenfreie Abwicklung bis zur Schlüsselübergabe und darüber hinaus.
Ihr Ansprechpartner:
Ralph Moser (Tel. 05577/83 111-20) oder
ralph.moser@realbuerohagen.at
Sonstige Auslagen:
3,5% Grunderwerbsteuer
1,1% Grundbucheintragungsgebühr
Vertragserrichtungskosten und Barauslagen (Vertagserrichtung Notariat Dr. Christian Holzer)
3% Vermittlungshonorar (+ 20% USt.) lt. empfohlener Geschäftsbedingungen der Bundesinnung gemäß § 10 IMV 1996, i.d.g.F.
Dann vereinbaren Sie doch einfach einen Termin mit uns – eine Besichtigung lohnt sich.
Das Realbüro Hagen-Team garantiert professionelle Beratung und völlige Unabhängigkeit.
Durch unsere ausgeprägte Kompetenz und langjährige Erfahrung versichern wir Ihnen eine problemlose und sorgenfreie Abwicklung bis zur Schlüsselübergabe und darüber hinaus.
Ihr Ansprechpartner:
Ralph Moser (Tel. 05577/83 111-20) oder
ralph.moser@realbuerohagen.at
Sonstige Auslagen:
3,5% Grunderwerbsteuer
1,1% Grundbucheintragungsgebühr
Vertragserrichtungskosten und Barauslagen (Vertagserrichtung Notariat Dr. Christian Holzer)
3% Vermittlungshonorar (+ 20% USt.) lt. empfohlener Geschäftsbedingungen der Bundesinnung gemäß § 10 IMV 1996, i.d.g.F.
Dürfen wir weiterhelfen?
Ihr Ansprechpartner
Ralph Moser
Immo Kontakt Formular
ImmoNr.: 5985
Weitere Immobilien in Ihrer Nähe









































